Hírek
2013. Április 11. 09:31, csütörtök |
Helyi
Forrás: Baranya Megyei Rendőr-főkapitányság
Vezetni biztonsággal
Az első fordulóval beindul a Pécs Városi Baleset-megelőzési Bizottság és a Pécs-Baranya Közbiztonsági Alapítvány „Vezetni Biztonsággal” négy fordulós vetélkedősorozata.

A vetélkedő lényege, a közlekedők figyelmét ráirányítsa a balesetek kiszámíthatatlanságára, a baleseti okokra.
Minden forduló egy baleseti szituációt jelenít meg. A vetélkedőben részt vevő személy feladata a felvázolt közlekedési szituációk értelmezését követően válaszolni a feltett kérdésekre.
A fordulók végén a helyes megfejtők között három - három ajándékcsomagot sorsolunk ki. Aki mind a négy fordulóra beküldi a helyes megfejtést, azok között is kisorsolunk három értékes ajándékcsomagot.
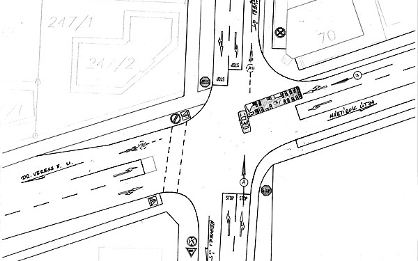
„A” személygépkocsi közlekedett Pécsett a Megyeri úton, a Verseny utca irányából a József Attila út irányába. Haladása során a Mártírok úti kereszteződésbe behajtva a gépkocsi elejével nekiütközött a tőle jobbról érkező, a Mártírok útján a Dr. Veress E. u. irányába közlekedő Busz elejének.

Ki volt és milyen szabályt hagyott figyelmen kívül a baleset okozója?
A balesettel érintett járművezetőnek milyen kötelezettségei vannak?
A válaszokat kérjük 2013. április 18. (csütörtök) 12,00 óráig beküldeni a Pécs Városi Baleset-megelőzési Bizottság címére: 7622 Pécs, Vargha D. u. 3., vagy a gradvolts@baranya.police.hu címre. A megfejtésen kérjük feltüntetni: „Vezetni biztonsággal” I. forduló.
Ezek érdekelhetnek még
2026. Január 26. 18:51, hétfő | Helyi
Pályázzon privát fotógyűjteményével a Néprajzi Múzeum kiírásán!
Felhívásában a Néprajzi Múzeum olyan magánszemélyek vagy családok jelentkezését várja, akik szívesen bemutatnák az 1990 és 2005 közötti időszakból származó fényképeiket
2026. Január 21. 14:06, szerda | Helyi
Heti állásajánlatok Dombóváron és környékén
Ha munkahelyet váltanál, vagy épp állást keresel, nézd meg a friss állásajánlatokat!
2026. Január 21. 00:00, szerda | Helyi
Már a dombóvári könyvtárban olvasható a legújabb emlékkönyv
A Fekete István Kulturális Egyesület nemrég készítette el kiadványát, amelyet Bodó Imre elnök adott át a napokban a város könyvtárának.
2026. Január 17. 12:56, szombat | Helyi
Dombóváron is üléseztek a kábítószerügyért felelős szakemberek
Január 14-én Dombóváron üléseztek a szakemberek, január 16-án Pakson tartottak alakuló munkacsoportülést a Kábítószerügyi Egyeztető Fórum (KEF) keretében.

